51334, IA Estherville, 1675 365th Avenue

51334 IA properties for sale in Estherville with MLS # 240233

$21,000

  • N/A
  • N/A
  • 12921
  • Active

General Description

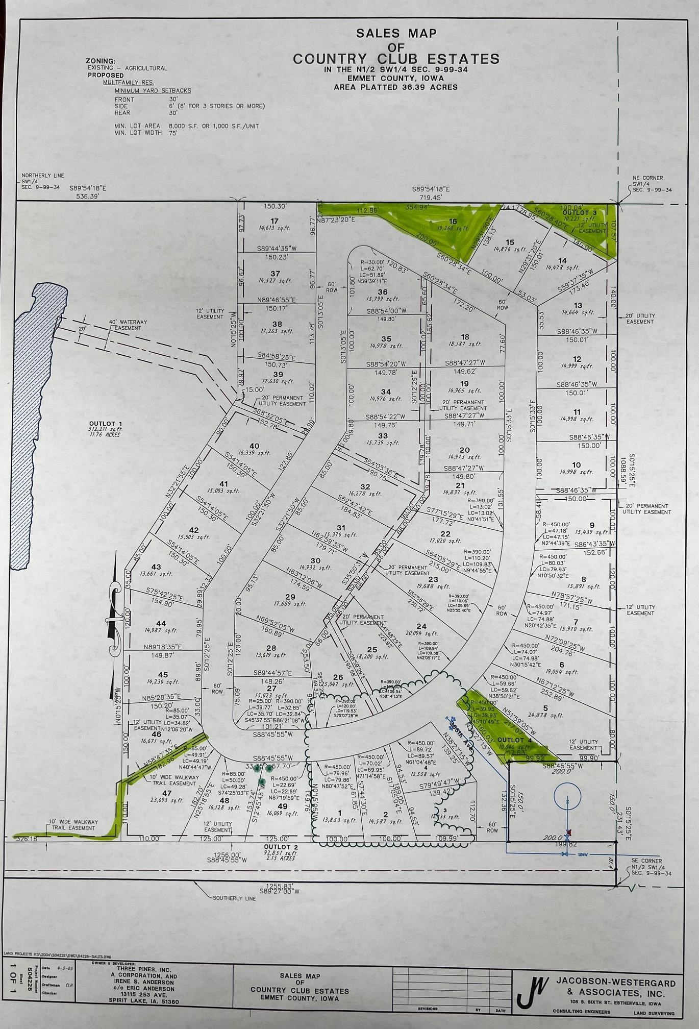
Extensive array of sizes and pricing available in the elite COUNTRY CLUB ESTATES to make your DREAM HOME a reality. Every UTILITY is run to the lot(s); road, curb, gutter complete; and the city’s NEW tax abatement over 5 years is OUTSTANDING – making building a fantastic & in some cases a BETTER option. This is LOT 3: 112.7 X 94.53 139.42 X 109.99. Country Club Estates is a short bike ride to Fort Defiance State Park, has a PRIVATE cart / walk trail to the GOLF COURSE, and is only a mile to downtown. Country Club Estates features a playground, an abundance of wildlife, a large pond for fishing, private cul-de-sac, and NEW homes. Established on the west side of Estherville, this sought-after development is a fast 10 minutes to Spirit Lake; and ideally located for people who are employed in: Estherville, Milford, Jackson, Terril & all the Iowa Great Lakes. Seller would consider Seller finance.

Legal: LOT 3 COUNTRY CLUB ESTATES SUB-DIV. EXACT LEGAL PER ABSTRACT
Status: Active

Property Information

240233

$21,000

Sale

Residential

LAND

1675 365th Avenue

Estherville

IA

51334

12921

0.00

80

2023

Utilities

No

LISTED BY

EXIT Realty Midwest, Tammy Fredericksen (712.209.0836)

PROPERTY LOCATION

MORTGAGE CALCULATOR


Similar listings

$21,000

Status: Active
1671 365th Avenue, Estherville, IA 51334

  240230

 N/A

 N/A

  14,915


Listed by : EXIT REALTY MIDWEST, TAMMY FREDERICKSEN (712.209.0836)

$20,000

Status: Active
1640 365th Avenue, Estherville, IA 51334

  240231

 N/A

 N/A

  16,628


Listed by : EXIT REALTY MIDWEST, TAMMY FREDERICKSEN (712.209.0836)

$21,000

Status: Active
1673 365th Avenue, Estherville, IA 51334

  240234

 N/A

 N/A

  13,406


Listed by : EXIT REALTY MIDWEST, TAMMY FREDERICKSEN (712.209.0836)

$20,000

Status: Active
1633 365th Avenue, Estherville, IA 51334

  240235

 N/A

 N/A

  15,809


Listed by : EXIT REALTY MIDWEST, TAMMY FREDERICKSEN (712.209.0836)

$21,000

Status: Active
1618 365th Avenue, Estherville, IA 51334

  240240

 N/A

 N/A

  19,403


Listed by : EXIT REALTY MIDWEST, TAMMY FREDERICKSEN (712.209.0836)

$21,000

Status: Active
1656 365th Avenue, Estherville, IA 51334

  240241

 N/A

 N/A

  18,448


Listed by : EXIT REALTY MIDWEST, TAMMY FREDERICKSEN (712.209.0836)

Ask About this Property #240233

Share


NEWSLETTER